車両No:130822
マツダロードスター RS
オープン / シルバー /
マツダスピードマフラー マキシムエキマニ 社外2WayLSD
本体価格(税込)
-支払総額(概算)
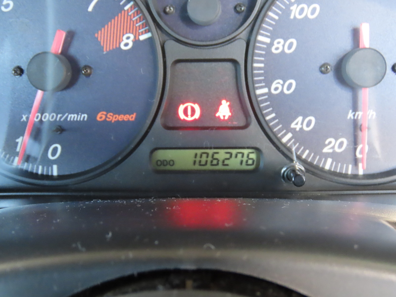
-| 年式 | 1998年 (H10) | 走行距離 | 10.6万K |
|---|---|---|---|
| 車検 | 令和6年7月 | 修理歴 | 有 |
お電話でのお問い合わせ
車両No:130822
問合せの際に車両Noを伝えて頂けるとスムーズにご案内できます。
- 営業時間: AM10時ーPM7時30分
- 定休日: 毎週火曜日
- 販売店名: 株式会社ガレージアール ガレージアール 本店
- 住所: 埼玉県さいたま市緑区美園5-44-6
- FAX: 048-812-6661
状態
| 年式 | 1998年 (H10) | リサイクル料金 | |
|---|---|---|---|
| 車検 | 令和6年7月 | 納車時の整備費用 | 有 円 |
| 走行距離 | 10.6万K | 前使用者の点検整備記録簿 | 無 |
| 修理歴 | 有 | 前使用者の用途 | 自家用車 |
| 保証 | 無 | 定期点検整備 | |
| 改造/チューニング内容 | マツダスピードマフラー マキシムエキマニ 社外2WayLSD TEIN車高調 社外ハードトップ 社外クイックシフト NARDIステアリング 社外エアクリーナー | ||
| 特記事項 | |||
基本スペック
| 外装色 | シルバー | 型式 | GF-NB8C |
|---|---|---|---|
| グレード | RS | 乗車定員 | 2 |
| 排気量 | 1800cc | ハンドル | 右 |
| ボディタイプ | オープン | 燃料 | ガソリン |
| シフト | 6MT | 駆動方式 | 2WD |
装備仕様
|
CD エアコン, パワーステアリング, パワーウィンド, 助手席エアバッグ, アルミホイール, HIDヘッドライト |
閲覧履歴
※閲覧履歴はブラウザを完全に閉じるとリセットされます。
お気に入りの車がある場合は お気に入り追加 をご利用ください。
お気に入りの車がある場合は お気に入り追加 をご利用ください。